Capannone in vendita a Cortona

850.000 €

Descrizione

Comune di Cortona, frazione Tavarnelle
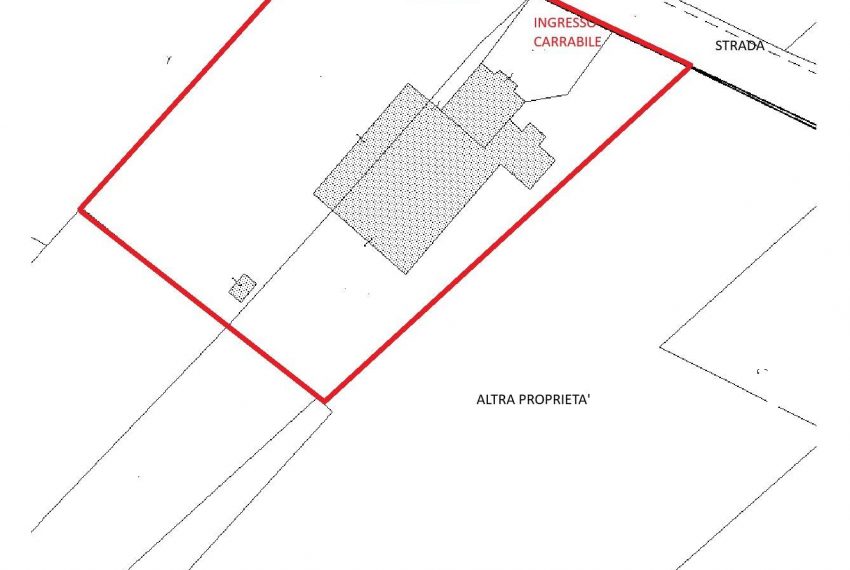
In ottima posizione con MASSIMA visibilità e comodo accesso dalla strada principale
PROPONIAMO IN VENDITA
Complesso immobiliare misto di cui:
Circa 800 mq ad uso artigianale-industriale-commerciale
Circa 250 mq ad uso abitativo-uffici
Circa 200 mq ad uso magazzino e locali tecnici
Totale superficie edifici 1.250 mq circa
+2200 mq di piazzale circostante recintato, dotato di 3 accessi carrabili con percorso accessibile per ingresso/uscita camion e bilici
Oltre lotto di terreno con volume edificabile da realizzare in un blocco separato oppure come ampliamento degli edifici esistenti.
IDEALE COME LABORATORIO, NEGOZIO , MAGAZZINO EDILE, PALESTRA O TANTO ALTRO.

L’agenzia immobiliare “VALDARNO AFFARI” nasce nel 1997 e si è sempre distinta nel corso degli anni per la sua professionalità e affidabilità. La nostra agenzia offre ai propri clienti un servizio completo a 360°, tra cui intermediazioni per compravendite e affitti di beni immobili abitativi, commerciali, artigianali, etc; consulenza tecnica, notarile e finanziaria; pratiche per mutui; stime; permute; consulenze immobiliari; vendita di immobili di pregio (in collaborazione con agenzie straniere); vendita di nude proprietà; assistenza totale fino all’atto.
Località dell’immobile: Cortona / Mezzavia

Informazioni

  • Stato immobile
    Ottimo

Condividi questo immobile

Condividi